ATLAS DE DERMATOLOGIA
ATLAS DE DERMATOLOGU
Nota importante
LEPRA [ICD-10: A30.9]
Inglés
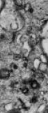
Granuloma Virchowcítico
Vesículas conteniendo lípidos bacterianos
Fagolisosomas

Bacilos en el interior de vacuolas fagocíticas (fagosomas)

Mitocondria normal
Lisosomas normales
Mitocondrias vesiculares degeneradas
Pequeños fagolisosomas residuales
   

Como es sabido el sistema retículoendotelial consiste en monocitos, macrófagos y sus precursores. Los monocitos circulantes viven 5 días, aunque pueden migrar al tejido conjuntivo fijándose en el mismo como histocitos cuya vida puede ser de varios meses. Cuando se estimulan, se diferencian a macrófagos muy activos que forman células epiteloides en la lepra tuberculoide y virchowcitos en la lepra lepromatosa. Diversos estudios han puesto de manifiesto que los macrófagos se comportan de forma diferente en los pacientes Mitsuda-positivos y Mitsuda-negativos. En los pacientes Mitsuda negativos (lepra lepromatosa) los macrófagos pueden engullir y destruir parcialmente el bacilo, pero la cubierta lipídica del mismo queda en el citoplasma formando vesículas y otros órganulos constituyendo entonces los virchowcitos o células leprosas. En estas células, algunos bacilos en los fagosomas son capaces de reproducirse. Al mismo tiempo los macrófagos activados producen lisosomas conteniendo enzimas hidrolíticas incluyendo fosfolipasas. Estos lisosomas tienen una cierta tendencia a fusionarse con los fagosomas para formar fagolisosomas en los que los bacilos pueden ser lisados parcialmente por las fosfolipasas. Sin embargo, en estos pacientes las fosfolipasas son incapaces de lisar totalmente los lípidos del bacilo, con lo que la información antigénica resulta incompleta y la reacción de Mitsuma es negativa. Se considera que la lepra lepromatosa es, además de una infección por el M. leprae, una enfermedad metabólica secundaria a una disfunción de las fosfolipasas. Algunos autores hablan incluso de tesaurismosis postbacilar.

atrás
Subir un nivel Mapa de esta Web
adelante